
BRICK – It was a unanimous thumbs down from the Planning Board for a mixed-use building proposed for the corner of Old Silverton Road and Drum Point Road.
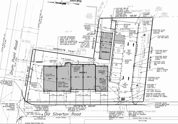
Township resident Samuel Pica III had applied to construct two buildings containing five contractor offices and storage units, and two, three-bedroom second-floor apartments on the 26,000 square-foot, L-shaped lot, located behind the Red Lion Plaza.
The proposal fits in with the intent of the township’s Village Zone that creates mixed-use development by combining commercial and residential use.
The Village Zone is designed to protect the township from high-density residential development while providing a means to improve businesses on Drum Point Road, Mantoloking Road and Herbertsville Road.
The meeting was a continuation from the first Planning Board meeting for the application that was held on December 9. During that meeting, the professionals had concluded their testimony, but due to time constraints, not all comments and questions had been heard from the public.

In response to comments made by Board members and professionals, the plan had been modified by the applicant before the January 13 meeting. The building was flipped to place the garages on the opposite side, a side setback was enlarged, and some of the parking spaces had been shifted.
The plan called for nine parking spaces when 44 would normally be needed. Professionals for the applicant said that the 47-feet deep garages would make up for any parking shortfall since each garage could hold two oversize vehicles.
During public comment, Old Silverton Road resident Andrew Flora hired attorney James H. Casey to represent him in objecting to the development.
“It’s too much on too small a lot. It’s the wrong place for this business – four businesses facing Old Silverton Road, which is a very small side street, and only nine parking spaces, are not going to handle it,” Casey said. “Cars and trucks will be going in and out, shining headlights on the house across the street.”
People would be compelled to double-park on the street, he added.
Township Planner Tara Paxton said that parking is allowed on Old Silverton Road. “It would be a better design if there was more parking than ‘just enough’ on the site, as there would only be availability for overflow parking on residential streets, which is permissible,” she said. “That’s something the Board has to weigh when they consider this application.”
Old Silverton Road resident Andrea Distaulo said her property has been in her family for 65 years.
“Everyone knows that ‘Mom and Pop’ contractors work seven days a week. They go out on emergency calls at night, Saturdays and Sundays,” she said.

“You’ve got trailer deliveries…you’ve got all the through traffic that comes from Hooper Ave. to Drum Point Road…we’ve got children, we’ve got grandchildren and I don’t think any of you would want this in your residence,” Distaulo said.
The applicant’s attorney Tim Middleton offered to bring their traffic expert, John Rhea, to the next available Planning Board meeting to explain why he determined the number of parking spaces was adequate.

Board Attorney Harold Hensel polled Board members to ask if they could render an opinion without hearing additional testimony from the traffic expert. Board members all agreed that they did not need to hear from Rhea, except for Board Chairman Bernard Cooke, who abstained.
Planning Board member and Township Councilman Paul Mummolo was the first to vote on the project.
“The applicant, I’m sure, has good intentions…with having people park in the building, but it’s something that we won’t be able to control, if he does sell it down the road, which I’m sure he eventually will sell,” Mummolo said.
“I feel like it’s inadequate parking,” he said. “There’s a lot of buildings, and not enough parking, so with that I’m going to make a motion to deny the application,” Mummolo said.
Each Board member in turn voted to deny the application.





